Roodepoort – Development-Ready Residential Land
- 29 Oct 2025 | 12h30
Auction Information
-
Auction ID 10-2880
-
Zoning Commercial
Property Information
Development-Ready Residential Land in Prime Location
Auction Central is proud to present a rare and highly sought-after development opportunity in the heart of the West Rand. Situated on Phillip Road in Diswilmar, just behind Cradlestone Mall, this 5.5-hectare parcel of land offers investors and developers a fully primed and packaged project with all key approvals and infrastructure connections in place.
Strategically positioned within the Ruimsig/Diswilmar development corridor, the site lies within close proximity to major arterial routes, key retail hubs, schools, healthcare services, and public transport nodes — making it ideal for a medium- to high-density residential offering.
Zoning & Development Rights
The property is zoned Residential 3, under the Krugersdorp Town Planning Scheme (1980), and benefits from a generous set of establishment conditions that are ideal for multi-unit residential development.
Approved Development Parameters:
- Density: 60 units per hectare
- Total Allowable Units: ±330 units
- Floor Area Ratio (FAR): 0.7
- Coverage: 50%
- Maximum Building Height: 3 storeys
- Building Lines: 5m along public roads
- Parking:
- 1 covered bay per unit
- 1 uncovered visitor bay per 3 units
These rights apply across two fully approved townships on the property:
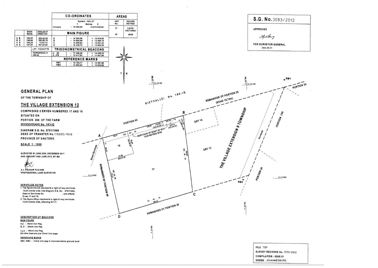
- The Village Extension 9 (Phase 1)
- The Village Extension 12 (Phase 2)
Both extensions have approved Site Development Plans (SDPs) and are supported by extensive documentation including zoning certificates, layout plans, and township establishment approvals.
Environmental & Regulatory Compliance
The property carries a valid Environmental Impact Assessment (EIA) approved on 31 March 2016. The EIA is valid for 10 years, which remains in effect until 2026, ensuring a streamlined compliance path for new owners and developers.
Surveyor General diagrams and general plans are available and approved, removing red tape for prospective construction commencement.
Infrastructure & Services
All bulk municipal services — including water and sewerage — are readily available at the perimeter of the property, significantly reducing lead time and capital outlay on basic infrastructure.
A services-level agreement is required for each phase of development and contributions can be calculated independently, providing flexibility in rollout strategy.
Strategic Location & Lifestyle Appeal
Located just off Hendrik Potgieter Road and adjacent to Cradlestone Mall, the property offers unmatched convenience and lifestyle appeal for future residents.
Nearby Amenities Include:
- Retail: Cradlestone Mall, Featherbrooke Village
- Healthcare: Dr PJ Botha (1.4km), Life Poortview Hospital
- Education: Indigo Learning Centre, 2 Mossies Kleuterskool, Finfokus
- Transport: Easy access to N14 & M47
- Recreation: Walter Sisulu Botanical Gardens, Ruimsig Golf Course
With an average density of 60 units/ha and increasing demand for secure, affordable sectional title homes, this project presents a high-yield, low-risk entry point into one of the West Rand’s fastest-developing residential zones.
Supporting Documentation Available
Upon request, registered bidders will receive access to:
- Zoning Certificate
- Title Deed (T95735/2007)
- Site Development Plans (Ext 9 & 12)
- Environmental Authorisation
- Surveyor General Diagrams
- Conditions of Establishment
- Property Report & Transfer History
- Auction Rules and Terms of Sale










